- 31.03.08 18:14
#18388
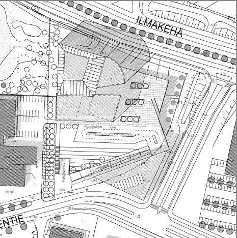
H.C. kirjoitti:^^edelliseen sellainen kommentti että hesari sekoili omiaan. SOK kaavoitetaan sinne minne se tuossa vähän taaempana havainnekuvassa on hahmoteltu.Tuon kuvan perusteella ollaan muuten Ilmakehääkin ryhtymässä parantamaan? Ainakin tuossa kuvassa väylä on levennetty kuusikaistaiseksi ja liikennevaloliittymät on korvattu rampeilla.
Mutta, sitten aivan uusin juttuihin, tai näiden kaavamuutos on ollut vireillä jo kolme vuotta mutta oli keskeytyksissä pitkään ja nyt sitten kännistyi uudelleen (jotain sopimusneuvotteluja tms.). Finnairille olisi tarkoitus kaavoittaa uusi toimisto ja Keskinäienen Kiinteistö Oy Wiima haluaa myös alueelleen toimistoja. Finnairin toimistosta ois tarkoitus tulla 11000m^2 suuruinen ja noin 6-7 kerroksinen (sisältää ainakin 2 rakennusta) ja Wiima taas haluaa vähän enemmän rakennuksia joista korkeimmat olisivat 10-kerroksisia, muut jotain 6.
Finnair:
Arkkitehtitoimisto Forma-Futura Oy
"Tohtori Iggyn arkkiviholliset: Kapteeni RV ja Professori Darkmage." -Darkmage7280


